einsicht-nach-dem-hmbtg

Dieses Dokument ist Teil der Anfrage „Abrissgenehmigungen für Gebäude an der Sternbrücke

/ 520
PDF herunterladen
230049 / Max-Brauer-Alle 213, 22769 Hamburg
Orientierende Schadstoffuntersuchung
Anlage 2 Fotodokumentation




Abbildung 22: 1. Blick vom Dach Richtung Nordwesten (Quelle: M&P, 30.03.2023)




Abbildung 23: Blick vom Dach Richtung Nordosten (Quelle: M&P, 30.03.2023)




                                                                                Seite 12/14
208

230049 / Max-Brauer-Alle 213, 22769 Hamburg
Orientierende Schadstoffuntersuchung
Anlage 2 Fotodokumentation




Abbildung 25: Blick vom Dach Richtung Nordosten (Quelle: M&P, 30.03.2023)




Abbildung 26: Blick vom Dach Richtung Nordosten (Quelle: M&P, 30.03.2023)




                                                                            Seite 13/14
209

230049 / Max-Brauer-Alle 213, 22769 Hamburg
Orientierende Schadstoffuntersuchung
Anlage 2 Fotodokumentation




Abbildung 27: Dach von innerhalb des Gebäudes (Quelle: M&P, 30.03.2023)




Abbildung 28: Dach des Gebäudes (Quelle: M&P, 30.03.2023)




                                                                          Seite 14/14
210

Freie und Hansestadt Hamburg                                                  Auszug aus dem
              Landesbetrieb Geoinformation und Vermessung
              Erteilende Stelle: Liegenschaftskataster
                                                                                            Liegenschaftskataster
              Neuenfelder Straße 19                                                         Flurstücks- und Eigentumsnachweis
                                                                                            Erstellt am: 06.09.2019
              21109 Hamburg                                                                 Auftragsnummer:




Flurstück 465 Gemarkung Altona Nord
Gebietszugehörigkeit:         Hamburg

Lage:                         Max-Brauer-Allee 213,

Fläche:                       423 m²

Tatsächliche Nutzung:         423 m² Wohnbaufläche (Geschlossen)

Hinweise zum Flurstück:       Bombenblindgängerverdacht
                              Ausführende Stelle: Behörde für Inneres - Feuerwehr

                              Soziales Erhaltungsgebiet "Altona-Altstadt"
                              Ausführende Stelle: Beh. für Stadtentwicklung und Wohnen - Bodenordnung


Angaben zu Buchung und Eigentum
Buchungsart:                  Wohnungs-/Teileigentum

Buchung:                      Amtsgericht Hamburg-Altona
                              Grundbuchbezirk Altona-Nord
                              Grundbuchblatt 5502
                              Laufende Nummer 1

                              136397/1000000 Miteigentumsanteil am Grundstück
Eigentümer:                   2               Kohnke, Hartmut
                                              Wiesenstraße 5
                                              49074 Osnabrück
                                              DEUTSCHLAND

Buchung:                      Amtsgericht Hamburg-Altona
                              Grundbuchbezirk Altona-Nord
                              Grundbuchblatt 5503
                              Laufende Nummer 1

                              199034/1000000 Miteigentumsanteil am Grundstück
Eigentümer:                   2               Kohnke, Hartmut
                                              Wiesenstraße 5
                                              49074 Osnabrück
                                              DEUTSCHLAND

Buchung:                      Amtsgericht Hamburg-Altona
                              Grundbuchbezirk Altona-Nord
                              Grundbuchblatt 5504
                              Laufende Nummer 1

                              144730/1000000 Miteigentumsanteil am Grundstück



                    Der Auszug ist maschinell erzeugt, er ist ohne Unterschrift gültig. Dieser Auszug ist gesetzlich geschützt.
                    Vervielfältigung, Umarbeitung oder die Weitergabe an Dritte ist nur im Rahmen der Bestimmungen in §15
                 HmbVermG vom 20.04.2005 (HmbGVBI.S.135), zuletzt geändert am 15.12.2009 (HmbGVBl S. 825, 532), zulässig.
                                                                                                                                  Seite 1 von 2
211

Flurstück 465
Gemarkung Altona Nord
                                                                                          Auszug aus dem
                                                                                          Liegenschaftskataster
                                                                                          Flurstücks- und Eigentumsnachweis



Eigentümer:                2                          Kohnke, Hartmut
                                                      Wiesenstraße 5
                                                      49074 Osnabrück
                                                      DEUTSCHLAND

Buchung:                   Amtsgericht Hamburg-Altona
                           Grundbuchbezirk Altona-Nord
                           Grundbuchblatt 5505
                           Laufende Nummer 1

                           179530/1000000 Miteigentumsanteil am Grundstück
Eigentümer:                2               Kohnke, Hartmut
                                           Wiesenstraße 5
                                           49074 Osnabrück
                                           DEUTSCHLAND

Buchung:                   Amtsgericht Hamburg-Altona
                           Grundbuchbezirk Altona-Nord
                           Grundbuchblatt 5506
                           Laufende Nummer 1

                           165634/1000000 Miteigentumsanteil am Grundstück
Eigentümer:                2               Kohnke, Hartmut
                                           Wiesenstraße 5
                                           49074 Osnabrück
                                           DEUTSCHLAND

Buchung:                   Amtsgericht Hamburg-Altona
                           Grundbuchbezirk Altona-Nord
                           Grundbuchblatt 5507
                           Laufende Nummer 1

                           174675/1000000 Miteigentumsanteil am Grundstück
Eigentümer:                2               Kohnke, Hartmut
                                           Wiesenstraße 5
                                           49074 Osnabrück
                                           DEUTSCHLAND




                 Der Auszug ist maschinell erzeugt, er ist ohne Unterschrift gültig. Dieser Auszug ist gesetzlich geschützt.
                 Vervielfältigung, Umarbeitung oder die Weitergabe an Dritte ist nur im Rahmen der Bestimmungen in §15
              HmbVermG vom 20.04.2005 (HmbGVBI.S.135), zuletzt geändert am 15.12.2009 (HmbGVBl S. 825, 532), zulässig.
                                                                                                                               Seite 2 von 2
212

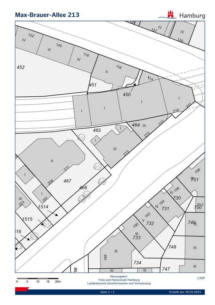
Max-Brauer-Allee 213




                                       Herausgeber:
                                                                                         1:500
                              Freie und Hansestadt Hamburg
                       Landesbetrieb Geoinformation und Vermessung

                               Seite 1 / 1                           Erstellt am: 26.05.2023
213

Datenblatt für bauliche Anlagen – Max-Brauer-Allee 213




Liegenschaft                     Max-Brauer-Allee 213
                                 22769 Hamburg




Max-Brauer-Allee 213             Wohn- und Geschäftshaus




Baujahr                          Vermutlich spätes 19. oder frühes 20. Jahrhundert
Neu-/Erweiterungs-,              Renovierungsarbeiten
An- /Umbauten

Abmessungen                      Länge:      ca. 20 m
                                 Breite:     ca. 13,5 m
                                 Firsthöhe:  ca. 14 m
                                 BGF:        ca. 320 m²
                                 BRI:        ca. 3.700 m³
Gebäudeklasse (HBauO)            Klasse 4 (Gebäude mit einer Höhe bis zu 13,0 m und Nutzungseinheiten
                                 von jeweils nicht mehr als 400 m²)


Datenblatt Bauliche Anlage nach Vorlage gemäß Arbeitshilfen Recycling, Anhang 2.1.2
                                                                                       Seite 1 von 2
214

Datenblatt für bauliche Anlagen – Max-Brauer-Allee 213



Konstruktion                     2-4-geschossiger, teilunterkellerter Massivbau
                                 Fundament: vermutlich Streifenfundamente
                                 Wände:         Außenwände: Mauerwerk
                                                Innenwände: Mauerwerk, z. T. Leichtbau
                                 Decken:        Beton, z. T. Holzkonstruktion
                                 Dach:          Walmdach (Wohngebäudeteil) aus Holzkonstruktion mit
                                 Bitumendachbahnen (ca. 2 cm); Flachdach (Geschäftsgebäudeteil),
                                 Holzkonstruktion mit Bitumendachbahnen (ca. 1,5 cm)
                                 Fenster:       überwiegend Kunststoff, z. T. Holz, in Geschäftsräumen große
                                 Fenster mit Stahlrahmen
Innenausbau                      Wände:         verputzt, z.T. tapeziert; in Geschäftsräumen z. T.
                                                Sichtmauerwerk, in Feuchträumen Fliesen
                                 Fußböden: Parkett über Teppich oder PVC in den Wohnungen, im
                                                Geschäftsbereich unbekannt
                                 Decken:        gestrichen, z. T. verputzt, in den Geschäftsräumen unbekannt
                                 Türen:         Holztüren, z. T. kunststoffbeschichtet, FH-Türen
                                 Lüftung:       in den Wohnungen keine, in den Geschäftsräumen unbekannte
                                 Lüftung
Gebäudetechnische                Wärmedämmung Außenwand: keine, Dach: keine
Ausstattung                      Heizung: vermutlich Ölheizung
Brandschutz                      FH-Türen
Bauzustand                       - Guter Zustand
Nutzung                          - Wohnungen in den Obergeschossen, Läden im Erdgeschoss
Ehemalige Nutzungen              - unbekannt
baustoffimmanente                - teerhaltige Bitumenbanen im Dachaufbau beider Dächer
Schadstoffe                      - mutmaßlich asbesthaltige Brandschutztüren, Rippenheizkörper und
                                   Flanschdichtungen
                                 - KMF-Rohrisolierung
                                 - quecksilberhaltige Leuchtstoffröhren
nutzungsbedingte                 - keine erkennbaren
Verunreinigungen der
Bausubstanz
Quellen/Pläne                    - Ortsbegehung am 30.03.2023
                                 - Schadstoffgutachten der M&P Ingenieurgesellschaft mbH vom 13.04.2023
Denkmalschutz                    - Nicht bekannt
Natur-/Landschaftsschutz




Datenblatt Bauliche Anlage nach Vorlage gemäß Arbeitshilfen Recycling, Anhang 2.1.2
                                                                                              Seite 2 von 2
215


                                            
                                                
                                                216
                                            
                                        


                                            
                                                
                                                217
                                            
                                        

Zur nächsten Seite